最近天气真是让人捉摸不透,这不,飞燕台风就突然来势汹汹地闯入了我们的生活。看着那狂风呼啸、暴雨倾盆的场景,你是不是也和我一样,好奇心爆棚,想要一探究竟呢?那就跟着我一起,从多个角度来揭秘这场飞燕台风的威力吧!
一、飞燕台风的来势汹汹

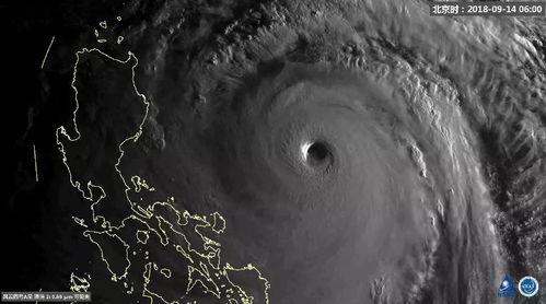
飞燕台风,这个名字听起来就让人心生敬畏。它于2018年9月登陆我国,给沿海地区带来了前所未有的破坏。据我国气象部门的数据显示,飞燕台风的风力达到了17级,中心附近最大风力更是高达60米/秒。这样的风力,简直可以和龙卷风相媲美!
二、飞燕台风的视频记录

想要了解飞燕台风的威力,视频可是最直观的方式。网络上有很多关于飞燕台风的视频,让我们一起来回顾一下那些惊心动魄的画面吧!
1. 狂风肆虐:视频中,飞燕台风带来的狂风呼啸而过,树木被连根拔起,房屋的玻璃被吹得粉碎,仿佛世界末日一般。
2. 暴雨倾盆:飞燕台风带来的暴雨如同瀑布般倾泻而下,街道上的积水瞬间没过了膝盖,行人们只能趟着水前行。
3. 洪水肆虐:台风过境,洪水肆虐,农田、村庄被淹,许多居民被迫转移。
4. 救援行动:面对飞燕台风带来的灾害,我国政府和救援队伍迅速行动,全力投入抗灾救援工作。
三、飞燕台风的影响

飞燕台风的威力不容小觑,它给我国沿海地区带来了巨大的影响。
1. 经济损失:据估算,飞燕台风给我国造成了数百亿元的经济损失。
2. 人员伤亡:台风过境,造成了大量人员伤亡和失踪。
3. 基础设施损毁:飞燕台风导致许多道路、桥梁、房屋等基础设施损毁,给人们的日常生活带来了极大不便。
四、飞燕台风的反思
飞燕台风给我们敲响了警钟,让我们深刻反思如何应对自然灾害。
1. 加强防灾减灾意识:提高全民防灾减灾意识,学习自救互救技能,减少灾害带来的损失。
2. 完善应急预案:政府和企业要制定完善的应急预案,确保在灾害发生时能够迅速有效地进行救援。
3. 加强基础设施建设:提高基础设施的抗灾能力,减少灾害对人们生活的影响。
飞燕台风虽然已经过去,但它给我们留下的教训却是永恒的。希望通过这篇文章,能让更多的人了解飞燕台风的威力,提高防灾减灾意识,共同守护我们的家园。让我们一起期待,未来能够更加安全、美好的生活!
